Public Concerns and Planning Process Collide at Owen Sound Rezoning Meeting
Owen Sound residents raised concerns about traffic, density, and low-income housing. City staff explained zoning rules and said input will guide next steps.
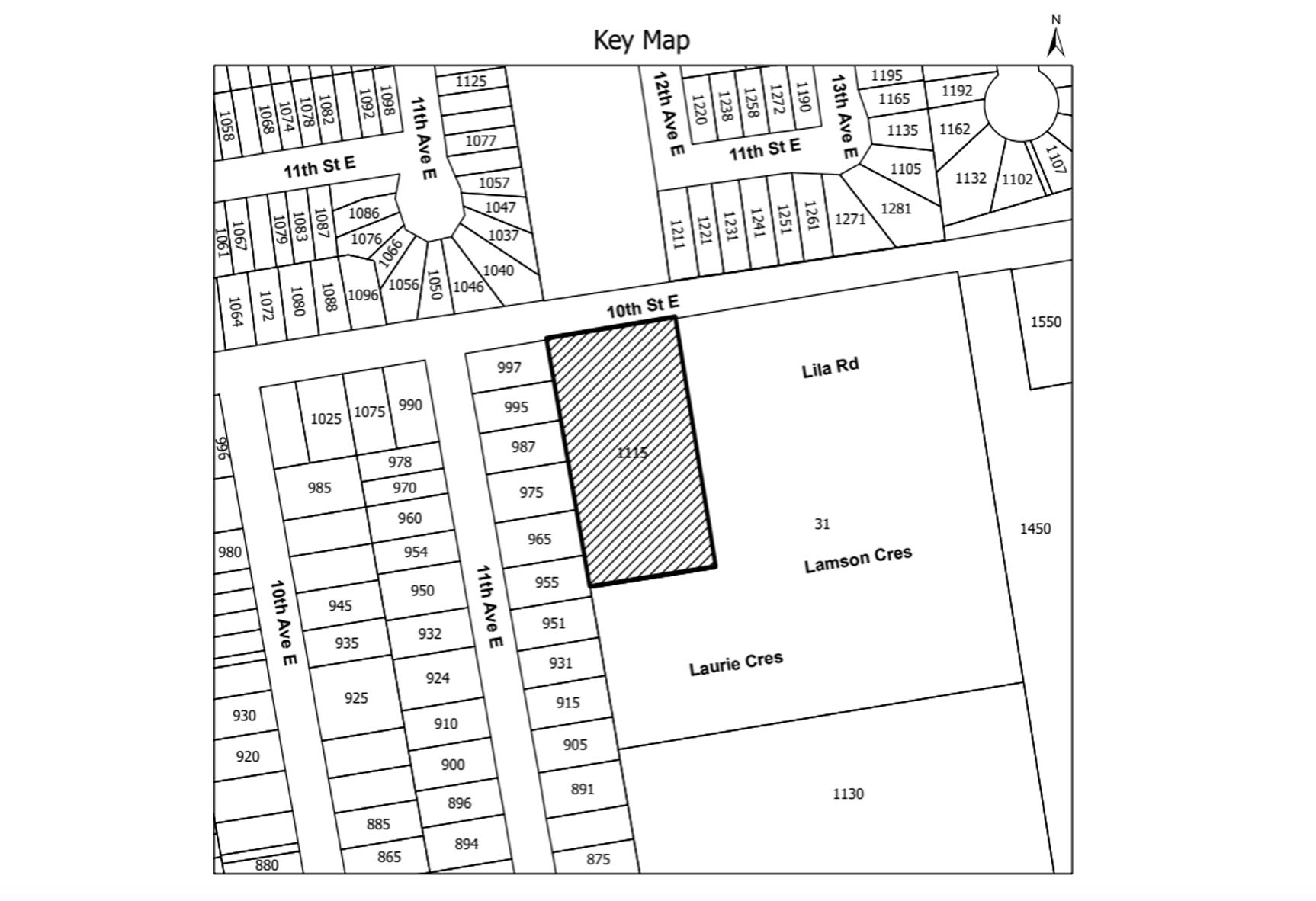
At a public meeting Monday evening, residents of Owen Sound’s east side voiced strong concerns about a proposed 36-unit apartment development at 1115 10th Street East.
While worries centred on traffic, drainage, and neighbourhood character, some questioned the type of tenants the new rental housing might attract, despite the fact that many area resident…
Keep reading with a 7-day free trial
Subscribe to The Owen Sound Current to keep reading this post and get 7 days of free access to the full post archives.



